リトルジャックブログ閲覧の皆さま、こんにちは。
ようやく冬らしくなってきました宮崎県からSPモニターの小松田です。
全国津々浦々、季節ごとのご当地の釣りものがあると思います。オフショアでの外道としては好まれない方もいますが、冬の宮崎県と言えば、サーフ(ショア)から釣れることで有名になった「オオ二ベ」が挙げられると思います。
就職活動中の10年前、住んでいた熊本県の釣り具屋さんでみかけた、等身大のオオ二ベ物持ちパネル(130㎝くらい)に圧倒され、宮崎県での就職を決意したのが懐かしく思います。
宮崎県(延岡)へ移住し、オオ二ベが釣れるのは県央サーフ(延岡から90分程)が中心と知った時には、愕然としました。それでも釣りたくて移住したので、時々は行ったのですが、南国と言う割には寒く、暗い寒いサーフで黙々とキャストを続ける忍耐力も無く、年々、大分県南部へメバルやアジを釣りに行く頻度が多くなってきました。
オオ二ベを釣っている方を「オオ二ベセレブリティ―」と言うと友人に教えられ、その友人も「セレブリティー」の一員なのですが、その友人が言うには、「狙って釣るよりは、ヒラメやシーバス狙いの軽い気持ちで通った方が長続きするよ」とのことで、いつしか「釣ってやる!」から「釣れたらいいな♪」くらいの軽い気持ちで機会があれば釣行していました。
ここまで「オオ二ベ」について書き、今回の私のブログ内容は、「今回も根魚でしたー」ってことはなく、しっかりと「オオ二ベ?」なので、もう少しお付き合い下さい。
さて、ぼちぼち県央サーフにてオオ二ベの釣果情報が聞こえてきましたので、「そろそろ行くかー」と思った矢先、地元河川の河口部でコノシロが接岸しているとの情報をキャッチしたので、「ヒラスズキ釣れないかなー」くらいの軽い気持ちで、仕事帰りにちょろちょろと通っていました。
当然、私以外にもコノシロの情報を知っている方が多く、河口部周辺には釣り人だらけでしたので、人が減る日を待ちわびていたら、割とすぐにそんな日が訪れます。「雨、強風、波2.5ⅿ、16時干潮」の仕事帰り釣行にとっては(人が少ない)絶好の天気です。
レインやカフス諸々を着こみ、バッチリの雨対策でエントリーです。
本来、広いはずの河口ですが、20ⅿにも満たないほどに狭まったために、流速が非常に速く、下げ潮のタイミングと重なると、釣りにならないほどでしたので、干潮からの上げ潮で流れが緩むタイミングを狙っての寄り道釣行です。
それでも「鮎河港」や「デッドスローアクト」、「サヨリス182」では流れの中を通すことが困難でしたので、「フォルマアディクト」へ変更し、上げ潮が効いているであろう、下の流れの中を通すことをイメージし、アップクロスへキャスト後、着底を確認し、転がしていきます。
どのくらい転がしたでしょうか?少しダウンクロスになったあたりで、「ゴツン」と言ったようなアタリがあり、すぐさまフッキングです。使用しているロッドもそれなりのパワー(小磯でのヒラスズキいけますくらい)なのですが、ベリーからバットまで絞り込む程の魚の強さが伝わってきます。「ヒラスズキの自己記録更新キター」と思っていましたが、エラ洗いをしないので、「もしかして…エイ?それにしてはフワンフワンしないなー」と、根ズレの心配少ない、釣り人有利なサーフなので強気に寄せていきます。
5分程のやりとりだったでしょうか、寄せてからの抵抗に苦戦しながらも、やっと正体を突き止めることができました。
セレブリティーの友人が言ってことを思いだして納得。「エラ洗いしないし、寄せてからのランが大変」その通りでした。
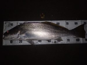
オオ二ベというには、少し小ぶりでしたが初めての魚に感動です。
悪天候の中、たまたま居合わせた、「はじめまして」の心優しいアングラーの方に初の「オオ二ベ」とのツーショットをお願いし、パシャリ。その節はありがとうございました。
いつでもどこでも持ち運び、投げ倒していたので、純正のフックやスプリットリングは、すでにボロボロ。沖磯釣行の際に交換していたのが、功を奏した結果となりました。
いつかは10年前にみたパネルのようなオオ二ベを釣り、あのポーズでのツーショットを撮りたいものですが、何はともあれ、まさかの近場で釣れた初めての一匹に感謝です。
年末年始の連休や週末を利用し、「ヒラメ、シーバス時々オオ二ベ」釣行へ宮崎県に来てみませんか?もちろん、「フォルマアディクト」は時間帯や場所問わず活躍するはずですので、ご準備のほどを!
私の投稿は今年最後になりますので、来年もよろしくお願いします。
メリークリスマス、よいお年を、はっぴーにゅーいやー(笑)



